Öffentliche Bekanntmachungen
Öffentliche Bekanntmachung des erneuten Aufstellungsbeschlusses und der frühzeitigen Beteiligung der Öffentlichkeit und der Träger öffentlicher Belange zum vorhabenbezogenen Bebauungsplan und zur Satzung über örtliche Bauvorschriften „Lebensmittelmarkt Schechingen Süd“ in Schechingen
Der Gemeinderat der Gemeinde Schechingen hat in seiner öffentlichen Sitzung am 11.12.2025 die erneute Aufstellung des vorhabenbezogenen Bebauungsplanes und die Satzung über örtliche Bauvorschriften „Lebensmittelmarkt Schechingen Süd“ beschlossen.
Plangebiet:
Der Geltungsbereich des vorhabenbezogenen Bebauungsplanes mit Satzung über örtliche Bauvorschriften „Lebensmittelmarkt Schechingen Süd“ umfasst Teilflächen der Flurstücke 500, 500/1 und 695 (Landesstraße) der Flur 0 der Gemarkung Schechingen im Bereich zwischen der Landesstraße L 1158, den bestehenden öffentlichen Einrichtungen an der Albstraße, den Sportanlagen und dem Baugebiet „Südlicher Ortsrand“ und hat eine Fläche von ca. 0,94 ha. (siehe Übersichtsplan)

In seiner öffentlichen Sitzung am 11.12.2025 hat der Gemeinderat der Gemeinde Schechingen zudem den Vorentwurf des vorhabenbezogenen Bebauungsplanes und die Satzung über örtliche Bauvorschriften „Lebensmittelmarkt Schechingen Süd“ gebilligt und den Beschluss zur frühzeitigen Beteiligung der Öffentlichkeit gem. § 3 Abs. 1 BauGB sowie der Träger öffentlicher Belange gem. § 4 Abs. 1 BauGB gefasst.
Der vorhabenbezogenen Bebauungsplan dient der Schaffung eines Bauplatzes für einen Lebensmittelmarkt am südlichen Ortsrand von Schechingen und sicher dadurch die Grundversorgung der Schechinger Bevölkerung mit Waren des täglichen Bedarfs.
Planinhalt:
Ziel und Zweck des vorhabenbezogenen Bebauungsplanes ist es die planungsrechtlichen Grundlagen für die Ausweisung eines Lebensmittelmarktes mit maximal 1.050 m² Verkaufsfläche zuzüglich einer Leergutannahme und einer Bäckerei / Cafe zu schaffen und dabei innerhalb der Flächen des Geltungsbereichs mit Berücksichtigung der städtebaulichen Anforderungen dieses konkrete Vorhaben zu ermöglichen. Aufgrund der seit längerem nicht mehr gesicherten Grundversorgung der Bevölkerung von Schechingen mit Waren des täglichen Bedarfs steht die Planung im öffentlichen Interesse. Aufgrund der bereits vorhandenen äußeren Erschließung im Umfeld, der erforderlichen Flächengrößen und Erreichbarkeiten für solche Lebensmittelmärkte und der Rahmenbedingungen des Flächennutzungsplanes des GVV Leintal-Frickenhofer Höhe, die hier grundsätzlich schon seit geraumer Zeit eine Siedlungserweiterung vorsehen, bestehen auch keine Alternativen zur Planung. Bisher liegt für das Plangebiet kein Bebauungsplan vor, weshalb die Aufstellung des vorhabenbezogenen Bebauungsplanes „Lebensmittelmarkt Schechingen Süd“ erforderlich ist.
Maßgebend für die Abgrenzung des Geltungsbereiches und den Inhalt des vorhabenbezogenen Bebauungsplanes und der Satzung über örtliche Bauvorschriften sind der Lageplan, der Vorhaben- und Erschließungsplan und die textlichen Festsetzungen des Planungsbüros LKP+ Ingenieure, Mutlangen vom 11.12.2025. Dem Bebauungsplan wird die Begründung mit Umweltbericht (Anlage 1) des Planungsbüros LKP+ Ingenieure, Mutlangen vom 11.12.2025, der Bewertungsplan zur Eingriffsausgleichsbilanzierung (Anlage 2) des Planungsbüros LKP+ Ingenieure, Mutlangen vom 11.12.2025, die Artenschutzrechtliche Relevanzuntersuchung (Anlage 3) des Büros Subdivo, Esslingen vom 10.02.2025 und die Auswirkungsanalyse „Ansiedlung eines Netto-Lebensmitteldiscounters in der Gemeinde Schechingen (Ostalbkreis)“ (Anlage 4) des Büros GMA, Ludwigsburg vom 02.12.2025 als Anlagen beigefügt.
Der Beschluss zur erneuten Aufstellung des vorhabenbezogenen Bebauungsplanes „Lebensmittelmarkt Schechingen Süd“ wird hiermit gem. § 2 Abs. 1 bekannt gemacht. Ebenso werden Ort und Dauer der Auslegung des Bebauungsplanentwurfes hiermit gemäß § 3 Abs. 2 BauGB öffentlich bekannt gemacht.
Der Vorentwurf des genannten vorhabenbezogenen Bebauungsplans mit zugehöriger Begründung und den weiteren Anlagen sowie der Bekanntmachung wird in der Zeit vom 05.01.2026 bis einschließlich 03.03.2026 auf der Homepage der Gemeinde Schechingen unter www.schechingen.de (Aktuelles & Themen à Öffentliche Bekanntmachungen) zur Einsichtnahme und zum Download bereitgestellt. Weiterhin sind die Bebauungsplanunterlagen im Rathaus der Gemeinde Schechingen, Marktplatz 1 im 1.Obergeschoss vor Zimmer 9, während der üblichen Dienstzeiten im gleichen Zeitraum öffentlich ausgelegt.
Während der Auslegungsfrist können Stellungnahmen zum Entwurf elektronisch unter info@schechingen.de oder mündlich, schriftlich oder zur Niederschrift bei der Gemeinde Schechingen vorgebracht werden. Schriftlich und elektronisch vorgebrachte Stellungnahmen sollten die volle Anschrift des Verfassers und die Bezeichnung des vorhabenbezogenen Bebauungsplanes enthalten. Die eingereichten Stellungnahmen werden dem Gemeinderat der Gemeinde Schechingen zur Prüfung und Abwägung vorgelegt. Das Ergebnis wird erst nach dem durch den Gemeinderat erfolgten Beschluss versandt.
Hinweis: Verspätet abgegebene Stellungnahmen können bei der Beschlussfassung über den Bebauungsplan gemäß § 4a Abs. 6 BauGB unberücksichtigt bleiben.
Schechingen, den 12.12.2025
gez. Bürgermeister Jenninger
Anlagen
Lageplan zum Aufstellungsbeschluss zum Bebauungsplan "Lebensmittelmarkt Schechingen SÜD" (PDF,439 KB)
Textteil zum vorhabenbezogenen Bebauungsplan "Lebensmittelmarkt Schechingen SÜD" (PDF,293 KB)
Lageplan zum vorhabenbezogenen Bebauungsplan "Lebensmittelmarkt Schechingen SÜD" (PDF,2,8 MB)
Vorhaben- und Erschließungsplan zum vorhabenbezogenen Bebauungsplan "Lebensmittelmarkt Schechingen SÜD" (PDF,2,5 MB)
Begründung mit Umweltbericht zum vorhabenbezogenen Bebauungsplan "Lebensmittelmarkt Schechingen SÜD" (PDF,2,6 MB)
Bilanzierungsplan zum vorhabenbezogenen Bebauungsplan "Lebensmittelmarkt Schechingen SÜD" (PDF,3,9 MB)
Artenschutzrechtliche Relevanzuntersuchung zum vorhabenbezogenen Bebauungsplan "Lebensmittelmarkt Schechingen SÜD" (PDF,1 MB)
Auswirkungsanalyse zur Ansiedlung eines Netto-Lebensmitteldiscounters in Schechingen (PDF,1 MB)
Bekanntmachung der Entwidmung einer Teilfläche von Flst. 155
Der Gemeinderat hat in seiner Sitzung am 26.06.2025 beschlossen, dass die im untenstehenden Lageplan umrandete Teilfläche des Flst. 155 dem öffentlichen Straßenverkehr entzogen wird. Die Teilfläche wurde, wie das gesamte Grundstück, bis Anfang der 1990er-Jahre als Straße genutzt. Nach dem Neubau der Kreisstraße 3260 im Bereich der Kirche (Schießbergstraße) wurde der südwestliche Abschnitt der Straße zum Fußweg umgestaltet. Das Teilstück, welches eingezogen wird, wird seitdem als Grünfläche genutzt. Mit der Einziehung verliert die Straße die Eigenschaft einer öffentlichen Straße entsprechend dem Straßengesetz.
Satzung zur Änderung der Satzung der Jagdgenossenschaft Schechingen - Inkrafttreten am 06.06.2025
Amtliche Bekanntmachung - Inkrafttreten eines Bebauungsplanes „Brühlgärten“ mit örtlichen Bauvorschriften
Der Gemeinderat der Gemeinde Schechingen hat in seiner öffentlichen Sitzung am 15.05.2025 den Bebauungsplan „Brühlgärten“ mit örtlichen Bauvorschriften gemäß § 10 Abs. 1 Baugesetzbuch (BauGB) und § 74 Landesbauordnung (LBO) sowie § 4 Gemeindeordnung Baden-Württemberg (GemO) als Satzung beschlossen. Dieser Beschluss wird hiermit gemäß § 10 Abs. 3 BauGB bekannt gemacht. Der Geltungsbereich des Bebauungsplanes „Brühlgärten“ umfasst die Flurstücke 100/1, 102/8, 123/1, 123/6 und 123/7 sowie Teilflächen der Flurstücke 108 (Gäßle) und 121 der Flur 0 der Gemarkung Schechingen und hat eine Fläche von ca. 0,62 ha. Siehe dazu auch folgenden Planausschnitt.
Maßgebend für die Abgrenzung des Geltungsbereichs und den Inhalt des Bebauungsplanes sind der Lageplan und die textlichen Festsetzungen mit örtlichen Bauvorschriften des Büros LKP+ Ingenieure GbR, Mutlangen vom 12.12.2024 / 15.05.2025. Dem Bebauungsplan wird die Begründung (Anlage 1) des Büros LKP+ Ingenieure GbR, Mutlangen vom 12.12.2024 / 15.05.2025 und die Spezielle artenschutzrechtliche Prüfung (SaP) (Anlage 2) des Büros Visualökologie, Esslingen vom 23.10.2024 beigefügt. Mit dieser Bekanntmachung tritt der Bebauungsplan „Brühlgärten“ mit den örtlichen Bauvorschriften in Kraft (§ 10 Abs. 3 BauGB).
Jedermann kann den Bebauungsplan mit der Begründung im Rathaus Schechingen während der üblichen Öffnungszeiten (montags, mittwochs, donnerstags und freitags von 08:00 bis 12:00 Uhr, sowie dienstags von 14:00 bis 16:00 und donnerstags von 14:00 bis 18:00 Uhr) einsehen und über den Inhalt Auskunft verlangen. Des Weiteren sind die Unterlagen auf der Internetseite der Gemeinde Schechingen, www.schechingen.de/home/info/bebauungsplaene, eingestellt. Hinweise:Auf die Vorschriften des § 44 Abs. 3 Satz 1 und 2 BauGB über die Fälligkeit etwaiger Entschädigungs-ansprüche, deren Leistung schriftlich beim Entschädigungspflichtigen zu beantragen ist, und des § 44 Abs. 4 BauGB über das Erlöschen von Entschädigungsansprüchen wird hingewiesen.Gesetzliche Wirksamkeitsvoraussetzungen:
Unbeachtlich werden gemäß § 215 Abs. 1 Nr. 1 bis 3
1. eine nach § 214 Abs. 1 Satz 1 Nr. 1 bis 3 BauGB beachtliche Verletzung der dort bezeichneten Verfahrens- und Formvorschriften,
2. eine unter Berücksichtigung des § 214 Abs. 2 BauGB beachtliche Verletzung der Vorschriften über das Verhältnis des Bebauungsplanes und des Flächennutzungsplanes und
3. ein nach § 214 Abs. 2a beachtlicher Fehler oder
4. ein nach § 214 Abs. 3 Satz 2 BauGB beachtliche Mängel des Abwägungsvorganges,
wenn sie nicht innerhalb eines Jahres seit dieser Bekanntmachung schriftlich gegenüber der Gemeinde geltend gemacht worden sind. Bei der Geltendmachung ist der Sachverhalt, der die Verletzung oder den Mangel begründen soll, darzulegen.
Eine etwaige Verletzung von Verfahrens- oder Formvorschriften der Gemeindeordnung für Baden-Württemberg (GemO) oder von aufgrund der GemO erlassenen Verfahrensvorschriften ist nach § 4 Abs. 4 GemO unbeachtlich, wenn sie nicht schriftlich oder elektronisch und unter Bezeichnung des Sachverhalts, der die Verletzung begründen soll, innerhalb eines Jahres seit dieser Bekanntmachung schriftlich gegenüber der Gemeinde Schechingen, Marktplatz 1, 73579 Schechingen geltend gemacht worden sind. Bei der Geltendmachung ist der Sachverhalt, der die Verletzung oder den Mangel begründen soll, darzulegen.
Schechingen, den 19.05.2025
gez.
Stefan Jenninger
Bürgermeister
Haushalt 2025 der Gemeinde Schechingen
Öffentliche Bekanntmachung des erneuten Aufstellungsbeschluss und der öffentlichen Auslegung des Entwurfs des Bebauungsplanes „Brühlgärten“
Hier finden Sie die öffentliche Bekanntmachung des erneuten Aufstellungsbeschluss und der öffentlichen Auslegung des Entwurfs des Bebauungsplanes "Brühlgärten"
Bekanntmachung Auslegung zum Bebauungsplan "Brühlgärten" (PDF,604 KB)
Textteil zum Bebauungsplan "Brühlgärten" (PDF,332 KB)
Lageplan zum Bebauungsplan "Brühlgärten" (PDF,951 KB)
Begründung zum Bebauungsplan "Brühlgärten" (PDF,1,3 MB)
Relevanzprüfung/Faunakartierung zum Bebauungsplan "Brühlgärten" (PDF,4,8 MB)
Aufstellungsbeschluss für den vorhabenbezogenen Bebauungsplan "Lebensmittelmarkt Schechingen-Süd"
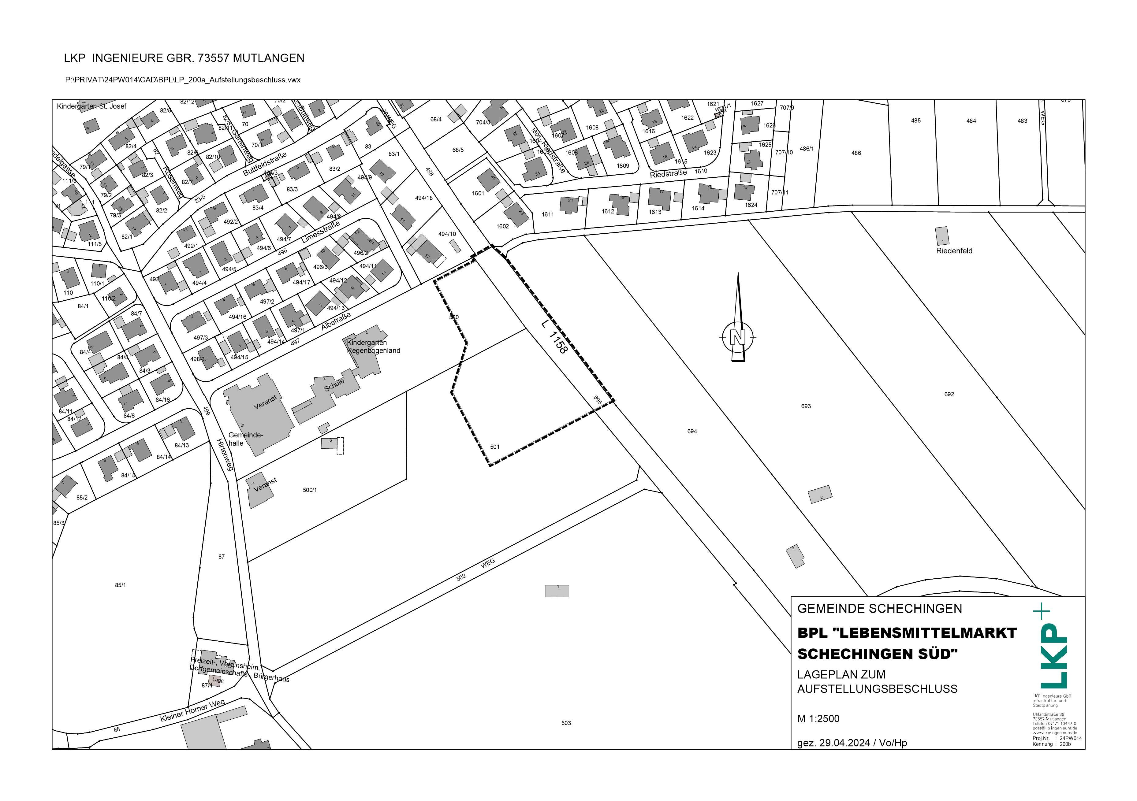
Der Gemeinderat der Gemeinde Schechingen hat am 16.05.2024 in öffentlicher Sitzung die Aufstellung des vorhabenbezogenen Bebauungsplanes „Lebensmittelmarkt Schechingen-Süd“ beschlossen. Der Geltungsbereich des vorhabenbezogenen Bebauungsplanes umfasst die Teilflächen der Flurstücke 500, 501 und 695 der Flur 0, Gemarkung Schechingen mit einer Gesamtfläche von ca. 1,85 ha. Maßgebend für die Abgrenzung des Geltungsbereiches ist der im Lageplan des Büros LKP Ingenieure GbR, Mutlangen vom 29.04.2024 dargestellte Geltungsbereich. Siehe folgender Kartenausschnitt.Ziel des vorhabenbezogenen Bebauungsplanes ist die Ausweisung eines Sondergebiets zur Errichtung eines großflächigen Lebensmittelmarktes. Dieser soll die Grundversorgung in der Gemeinde Schechingen sicherstellen.
Der Beschluss zur Aufstellung des Bebauungsplanes wird hiermit gemäß § 2 Abs. 1 BauGB bekannt gemacht.
Durch die heutige Bekanntmachung wird den Bürgern der Beginn des Verfahrens eröffnet. Die frühzeitige Beteiligung der Öffentlichkeit gemäß § 3 Abs. 1 BauGB erfolgt zu einem späteren Zeitpunkt. Diese werden zu gegebener Zeit bekannt gemacht.
Gemeinde Schechingen, den 17.05.2024
gez.
Stefan Jenninger
Bürgermeister
Hier gelangen Sie zum Lageplan zum Aufstellungsbeschluss "Lebensmittelmarkt Schechingen-Süd">> (PDF,267 KB)
Bebauungspläne Gewerbegebiet Kappelfeld, 3. Bauabschnitt und "Nördlicher Schloßgarten"
Auslegungsunterlagen zum Bebauungsplan Gewerbegebiet Kappelfeld, 3. Bauabschnitt
Titelblatt >> (PDF,130 KB)
Textteil >> (PDF,452 KB)
Lageplan Kappelfeld >> (PDF,2,3 MB)
Anlage 1 Begründung >> (PDF,1,3 MB)
Anlage 2 Eingriffsausleichsbilanzierungsplan >> (PDF,715 KB)
Anlage 3 Artenschutzrechtliche Relevanzprüfung >> (PDF,4,1 MB)
Anlage 4 Baugrunduntersuchung >> (PDF,4,4 MB)
Anlage 5_1 Lageplan zur Ersatzmaßnahme E1 >> (PDF,1,9 MB)
Anlage 5_2 Lageplan zur Ersatzmaßnahme E2 >> (PDF,1,3 MB)
Anlage 5_3 Lageplan zur Ersatzmaßnahme E3 >> (PDF,2,7 MB)

